Landzonetilladelse til ændret anvendelse til vandindvinding
Nordfyns Kommune giver hermed tilladelse til ændret anvendelse fra landbrugsdrift til indvinding af overfladevand på del af matr. nr. 7c Ørritslev By, Skeby, beliggende Klintebjergvej 46, 5450 Otterup.
Afgørelse
Zonetilladelse
5450 Otterup
16. januar 2024
19. december 2023
Tilladelsen er givet efter Planlovens § 35.
Det er en betingelse for tilladelsen,
-
at der kan meddeles indvindingstilladelse,
-
at der kan meddeles krydsningstilladelse, såfremt der etableres dræn under vandløb.
Tilladelserne forventes meddelt efter landzonesagen er behandlet.
Tilladelsen bortfalder, hvis den ikke er udnyttet inden 5 år.
Tilladelsen må ikke udnyttes, før klagefristen er udløbet. En rettidig klage har opsættende virkning, medmindre klagemyndigheden bestemmer andet.
Tilladelsen vedrører kun forholdet til landzonebestemmelserne. Andre nødvendige tilladelser skal søges hos relevante myndigheder.
Etableringen må ikke påbegyndes, før der er givet øvrige nødvendige tilladelser.
Offentliggørelse
Afgørelsen offentliggøres på kommunens hjemmeside www.nordfynskommune.dk den 19/12-2023.
Landzonetilladelsen kan ikke udnyttes før klagefristen er udløbet dvs. d. 16/1-2024.
Ansøgningen
Ejeren af Lille Ørritslevgard, ønsker at kunne etablere et vandingsanlæg på sin ejendom til brug for markafgrøder. Projektideen er at omlægge afvandingen, således at vinterafstrømningen kan tilbageholdes i en vandfyldt lavning på ejendommen og derfra pumpes til markvanding i sommerhalvåret.
Det er således ønsket, at der skal kunne parkeres vand i et temporart vandreservoir i en ca. 2 ha store lavning ved i vinterhalvåret at pumpe afstrømningen fra oplandet til lavningen i stedet for ud i Horsebækken. Dette vil kræve, at lavningen udvides ved afrømning af muld, bortgravning af jord og/eller etablering af dæmninger rundt om reservoiret.
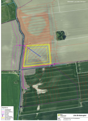
Det ansøgte vandreservoir på ca. 2 ha. er beliggende på nordlig del af matr.nr. 7c Ørritslev by, Skeby, beliggende Klintebjergvej 46, 5450 Otterup.
Kommunens landzonetilladelse er nødvendig, fordi ejendommen ligger i landzone.

Faktiske forhold
Der ansøges om etablering af vandreservoir på nordlig del af matr.nr. 7c. Da arealet i dag er en del af en landbrugsejendom og anvendes til landbrugsdrift, indebærer etableringen ændret anvendelse iht. Planloven og kræver dermed landzonetilladelse.
Vandløbsafdelingen vurderer at projektet ikke skulle have nogen negativ indflydelse på vandløbet. Hvis omlægningen af dræn som vist på figur 7 bliver en realitet, kræver dette en krydsningstilladelse i forhold til vandløbsloven, såfremt der ikke allerede ligger et drænrør.
Beskyttede naturtyper (naturbeskyttelseslovens § 3)
Anlægsarealet og drænoplandet rummer ikke beskyttede naturtyper og projektets etablering kræver derfor ikke dispensation fra naturbeskyttelseslovens § 3. Efter ca. 2-3 år vil der typisk indfinde sig et dyre- og planteliv i bassinnet og dets kanter. Såfremt bassinet også er med vandspejl i størstedelen af året, vil bassinet på det tidspunkt være omfattet af naturbeskyttelseslovens § 3, der forbyder tilstandsændringer. Hidtidig omfang af tilløb og pumpning fra bassinnet vil ikke betragtes som tilstandsændring. Oprensning kan være en tilstandsændring. Der skal søges og opnås dispensation fra naturbeskyttelseslovens § 3 forud for indgreb, der ændrer tilstanden.
Ejendommen
Ejendommen ligger i landzone og er en landbrugsejendom på ca. 69ha. Det berørte areal er beliggende i det åbne land.
I henhold til kommunens byggesagsarkiv og BBR.registret, er der ikke registreret bygninger på det berørte areal.
Kommuneplan
Ejendommen er ikke omfattet af retningslinjer Nordfyns Kommuneplan 2021-2033.
Øvrige bindinger/udpegninger
Anlægsarealet etableres ikke inden for bygge- og beskyttelseslinjer og fredede områder, og rummer ikke beskyttede diger.
Nordfyns Kommune har ikke besigtiget ejendommen.
Ansøgningen har ikke været sendt i naboorientering idet Nordfyns Kommune har vurderet, at det er af underordnet betydning for dem.
Begrundelse for afgørelsen
Nordfyns Kommune har vurderet, at der kan gives landzonetilladelse til det ansøgte. Nedenfor er kommunens samlede vurdering.
Det er Nordfyns Kommunes vurdering, at det ansøgte byggeri er tilpasset landskabet, og at det ikke er i strid med kommuneplanens udpegninger.
Der er lagt vægt på
-
At formålet med etablering af det ansøgte vandreservoir er at bidrage til driften af landbrugsejendommen og er dermed i overensstemmelse landzonebestemmelserne i Planloven.
Det vurderes, at det ansøgte vil have en begrænset påvirkning af de landskabelige forhold i området og naturen omkring det ansøgte.
Herudover er der i behandlingen lagt vægt på, at det ansøgte ikke tilsidesætter de hensyn som kommunen skal varetage efter planloven. Herunder de landskabelige hensyn samt hensynet til naboerne.
Natura 2000
Nærmeste Natura 2000-område nr. 110 Odense Fjord er beliggende ca. 3,6 km øst for projektarealet. Idet der er tale om en tilbageholdelse og genanvendelse af næringsholdig markvand vurderes projektet hverken i sig selv eller i forbindelse med andre planer og projekter at have en negativ indvirkning på Natura 2000-området og de arter og naturtype, der lever i tilknytning hertil og fremgår på udpegningsgrundlaget.
Bilag IV
En række arter på habitatdirektivets bilag IV har et naturligt udbredelsesområde, der overlapper med projektarealet. Der er ikke konkrete registreringer af arterne inden for projektarealet. Arealet er en intensivt drevet landbrugsareal, der ligger ned til Horsebæk. Landbrugsarealet vurderes ikke at være et egnet raste- og yngleområde for nogen bilag IV-arter. Der er registreret odder ca. 4 km sydvest for projektarealet i Lunde Å, som løber sammen med Horsebæk i Landvandskanalen ca. 3,7 km nedstrøms fra projektarealer. Oddere lever i tilknytning til naturprægede arealer og krat langs uforstyrrede dele af vandløb og kyster. Projektet medfører ikke en inddragelse af en sådan slags arealer og vurderes således ikke at have en indvirkning på raste- og yngleområder.
Nordfyns Kommune vurderer, at byggearbejdet ikke vil have væsentlig indvirkning på dyre- og planteliv, herunder at der ikke vil ske forringelse eller beskadigelse af yngle-, vokse, eller rasteområder for særligt beskyttede arter jf. habitatsbekendtgørelsen.
Retsregler
Nordfyns Kommune har truffet afgørelse efter planlovens § 35.
Planlov
Planloven, lovbekendtgørelse nr. 1157 af 1. juli 2020, og senere ændringer.
Kommuneplan 2021-33 for Nordfyns Kommune.
Øvrig lovgivning
Der er ikke taget stilling til øvrig lovgivning som f.eks. vandløbsloven, landbrugslov, skovloven mv.
Klagevejledning
Afgørelsen kan inden 4 uger fra offentliggørelsen påklages af enhver med retlig interesse i afgørelsen samt af landsdækkende foreninger og organisationer, der som hovedformål har at beskytte natur og miljø eller varetager væsentlige brugerinteresser inden for arealanvendelsen.
Hvis klagefristen udløber en lørdag eller en helligdag, forlænges fristen til den følgende hverdag.
Klage til Planklagenævnet indgives ved anvendelse af digital selvbetjening. Du klager via Klageportalen, der findes på Planklagenævnets hjemmeside. Du logger på, ligesom du plejer, typisk med Mit-ID. Klagen sendes gennem Klageportalen til den myndighed, der har truffet afgørelsen. En klage er indgivet, når den er tilgængelig for myndigheden i Klageportalen. Når du klager, skal du betale et gebyr, som for privatpersoner er på 900 kr. og for virksomheder, foreninger og offentlige myndigheder på 1.800 kr. Betaling af klagegebyr sker ved elektronisk overførsel til Planklagenævnet via Klageportalen.
Planklagenævnet skal som udgangspunkt afvise en klage, som ikke er indgivet ved digital selvbetjening. Nævnet kan undlade at afvise en klage, som ikke er indgivet ved digital selvbetjening, hvis der foreligger særlige forhold, der gør, at klager ikke må forventes at kunne anvende digital selvbetjening.
Hvis du ønsker at blive fritaget for at bruge Klageportalen, skal du sende en begrundet anmodning til Nordfyns Kommune. Kommunen videresender herefter anmodningen til Planklagenævnet, som træffer afgørelse om, hvorvidt din anmodning kan imødekommes.
Afgørelsen kan indbringes for domstolene inden 6 måneder fra offentliggørelsen.